藏品瀏覽

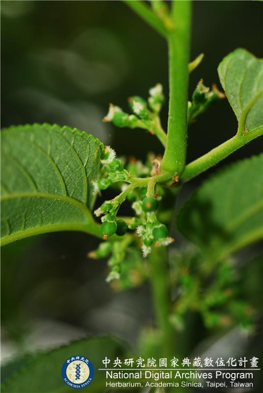
中文種名:山黃麻

描述 :

  • 主題:雌花